Météo974
Location: 33.0°N 138.9°E
Maximum Winds: 45 kt ( 85km/h)
Gusts: 55 kt ( 100km/h)
Minimum Central Pressure: 994 mb
WDPN31 PGTW 220300
MSGID/GENADMIN/JOINT TYPHOON WRNCEN PEARL HARBOR HI//
SUBJ/PROGNOSTIC REASONING FOR TROPICAL STORM 21W (NEOGURI) WARNING
NR 023//
RMKS//
1. FOR METEOROLOGISTS.
2. 6 HOUR SUMMARY AND ANALYSIS.
TROPICAL STORM 21W (NEOGURI), LOCATED APPROXIMATELY 247
NM SOUTHWEST OF YOKOSUKA, JAPAN, HAS TRACKED EAST-NORTHEASTWARD
AT 12 KNOTS OVER THE PAST SIX HOURS. ANIMATED MULTISPECTRAL
SATELLITE IMAGERY (MSI) DEPICTS AN EXPOSED, ELONGATED LOW-LEVEL
CIRCULATION WITH DEEP CONVECTION SHEARED 180NM TO THE NORTHEAST.
THERE IS POOR CONFIDENCE IN THE CURRENT POSITION BASED ON THE
EXPOSED, RAGGED LLC IN MSI IMAGERY. A 212203Z SSMIS 91GHZ IMAGE ALSO
SHOWS DEEP CONVECTION SHEARED TO THE NORTHEAST AND INCREASINGLY
DISORGANIZED LOW LEVELS. THE SYSTEM IS EMBEDDED WITHIN A MIDLATITUDE
SHORTWAVE TROUGH AND ITS STRUCTURE HAS CONTINUED TO DEFORM UNDER A
HOSTILE ENVIRONMENT CHARACTERIZED BY STRONG (60 KNOTS) VERTICAL WIND
SHEAR. OBSERVATIONS FROM THE COAST OF JAPAN REPORT 30-40 KT
SUSTAINED WINDS OVER 70 NM FROM THE SYSTEM. THE CURRENT INTENSITY IS
ASSESSED AT 45 KNOTS BASED ON A 212147Z SATCON OF 43 KTS AND THE
OBSERVATIONS. THE SYSTEM IS ASSESSED AS EXTRATROPICAL BASED ON A
212100Z AMSU CORE TEMPERATURE CROSS SECTION SHOWING A LOW LEVEL WARM
FRONTAL ANOMALY AND A COLD CORE ALOFT, AS WELL AS THE ASYMMETRIC
WIND FIELD, DRY AIR FLOWING INTO THE DRY SLOT IN THE CIMSS
PRECIPITABLE WATER PRODUCT, SEA SURFACE TEMPERATURES BEING
UNFAVORABLE AT 24-26 DEGREES CELSIUS, AND CONVECTION SHEARED
POLEWARD OF THE LOW-LEVEL CIRCULATION, ALL CHARACTERISTIC OF
EXTRATROPICAL SYSTEMS. TS 21W IS ACCELERATING NORTHEASTWARD ALONG
THE NORTHERN FLANK OF THE SUBTROPICAL RIDGE WITHIN THE STRONG
MIDLATITUDE WESTERLY FLOW.
3. FORECAST REASONING.
A. THERE IS NO SIGNIFICANT CHANGE TO THE FORECAST PHILOSOPHY FROM
THE PREVIOUS PROGNOSTIC REASONING MESSAGE.
B. TS 21W IS FORECAST TO CONTINUE TRACKING NORTHEASTWARD THROUGH
THE FORECAST PERIOD AS AN EXTRATROPICAL SYSTEM. THE SYSTEM WILL
TRACK SOUTH OF TOKYO AND THEN EAST OF HONSHU MAINTAINING GALE-FORCE
WINDS. MODELS ARE HAVING DIFFICULTY RESOLVING THE EXACT POSITION IN
THE NEAR TERM, AS THE SYSTEM DEFORMS UNDER THE MID-LATITUDE WESTERLY
JET. THE JTWC FORECAST TRACK IS PLACED AHEAD OF THE MULTIMODEL
CONSENSUS, CLOSE TO THE GALWEM SOLUTION AND CARRYING FORWARD THE
CURRENT OBSERVED TRACK SPEED, AS CONSENSUS IS BEING DRAGGED SLOWER
BY GFS, WHICH PREDICTS A SIGNIFICANTLY SLOWER AND MORE SOUTHERN
TRACK. THERE IS LOW CONFIDENCE IN THE JTWC FORECAST TRACK.//
NNNN
------------------------------------------------------------------------------------------------------------------------
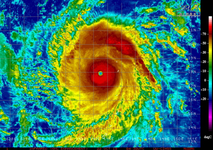
TY BUALOI(22W)
Location: 17.1°N 145.0°E
Maximum Winds: 115 kt ( 215km/h)
Gusts: 140 kt ( 260km/h)
Minimum Central Pressure: 951 mb
CATEGORY US: 4
WDPN32 PGTW 220300
MSGID/GENADMIN/JOINT TYPHOON WRNCEN PEARL HARBOR HI//
SUBJ/PROGNOSTIC REASONING FOR TYPHOON 22W (BUALOI) WARNING NR 013//
RMKS/
1. FOR METEOROLOGISTS.
2. 6 HOUR SUMMARY AND ANALYSIS.
TYPHOON (TY) 22W (BUALOI), LOCATED APPROXIMATELY 506 NM
SOUTH-SOUTHEAST OF IWO TO, JAPAN, HAS TRACKED NORTHWESTWARD AT 12
KNOTS (KTS) OVER THE PAST SIX HOURS. ANIMATED MULTISPECTRAL SATELLITE
IMAGERY (MSI) SHOWS A HIGHLY SYMMETRIC SYSTEM WITH A 10 NM EYE AND
CONVECTIVE BANDS WRAPPING INTO THE CENTER, LENDING HIGH CONFIDENCE IN
THE INITIAL POSITION. BASED ON DVORAK CURRENT INTENSITY ESTIMATES OF
T6.0 (115 KTS) FROM PGTW AND KNES, ESTIMATES OF T5.5 (102 KTS) FROM
RJTD, AND A SATCON INTENSITY ESTIMATE OF 120 KTS, THE INITIAL
INTENSITY IS SET AT 115 KTS WITH GOOD CONFIDENCE. TY 22W REMAINS IN
AN AREA OF LOW (05-10 KT) VERTICAL WIND SHEAR (VWS) AND WARM (28-29
CELSIUS) SEA SURFACE TEMPERATURES (SST). THERE IS NEAR-RADIAL
UPPER-LEVEL OUTFLOW; HOWEVER, A TUTT CELL TO THE SOUTHWEST MAY
INHIBIT STRONG DEVELOPMENT OF OUTFLOW TO THE SOUTH. TY 22W IS
TRACKING ALONG THE SOUTHWESTERN PERIPHERY OF A SUBTROPICAL RIDGE
(STR) TO THE NORTHEAST.
3. FORECAST REASONING.
A. THERE IS NO SIGNIFICANT CHANGE TO THE FORECAST PHILOSOPHY FROM
THE PREVIOUS PROGNOSTIC REASONING MESSAGE.
B. TY 22W WILL TRACK NORTHWESTWARD THEN NORTH-NORTHWESTWARD
THROUGH TAU 36. AROUND TAU 36, THE SYSTEM WILL BEGIN TO ROUND THE
RIDGE OF THE AFOREMENTIONED STR. THE ENVIRONMENT WILL REMAIN
FAVORABLE FOR INTENSIFICATION THROUGH TAU 48 WITH LOW VWS AND WARM
SST. HOWEVER, THE TUTT CELL TO THE SOUTHWEST IS EXPECTED TO PERSIST
UNTIL TAU 72, INHIBITING SUBSTANTIAL INTENSIFICATION AND OFFSETTING
POLEWARD OUTFLOW THAT WILL BE ENHANCED AS THE SYSTEM TAPS INTO THE
TROUGH. AFTER TAU 48, TY 22W WILL SHIFT TO A NORTH-NORTHEASTWARD
TRACK AS THE SYSTEM RECURVES. NUMERICAL MODELS REMAIN IN GOOD
AGREEMENT, LENDING GOOD CONFIDENCE IN THE JTWC FORECAST TRACK.
CROSS-TRACK SPREAD AT TAU 48 REMAINS 60 NM AND INCREASES TO 130 NM AT
TAU 72 AFTER THE RECURVE. THE ONE OUTLIER IS NAVGEM TO THE EAST. THE
SPEED OF THE SYSTEM IS SIMILAR IN ALL MODELS; HOWEVER, THERE ARE
SLIGHT VARIATIONS IN THE TIMING OF THE RECURVE.
C. AFTER TAU 72, TY 22W BEGINS EXTRATROPICAL TRANSITION (ETT) AND
TRACKS NORTH-NORTHEASTWARD FOR THE REMAINDER OF THE FORECAST PERIOD.
THE MIDLATITUDE TROUGH WILL BEGIN TO SHEAR THE SYSTEM WITH VWS VALUES
GREATER THAN 40 KTS, OFFSETTING THE ENHANCED POLEWARD OUTFLOW, THEN
GRADUALLY WEAKENING TY 22W. THIS SYSTEM WILL MAINTAIN A BROAD
EXPANSIVE WIND FIELD AS IT COMPLETES ETT. BY TAU 96, NUMERICAL MODELS
DIVERGE TO 295 NM CROSS-TRACK SPREAD WHEN ETT IS COMPLETED. DESPITE
THIS, THERE IS HIGH OVERALL CONFIDENCE IN THE JTWC FORECAST TRACK.//
NNNN
------------------------------------------------------------------------------------------------------------------------
NORTH INDIAN
Location: 13.3°N 62.8°E
Maximum Winds: 20 kt
Minimum Central Pressure: 1003 mb
ABIO10 PGTW 211800
MSGID/GENADMIN/JOINT TYPHOON WRNCEN PEARL HARBOR HI//
SUBJ/SIGNIFICANT TROPICAL WEATHER ADVISORY FOR THE INDIAN
/OCEAN/211800Z-221800ZOCT2019//
RMKS/
1. NORTH INDIAN OCEAN AREA (MALAY PENINSULA WEST TO COAST OF AFRICA):
A. TROPICAL CYCLONE SUMMARY: NONE.
B. TROPICAL DISTURBANCE SUMMARY:
(1) THE AREA OF CONVECTION (INVEST 97A) PREVIOUSLY LOCATED
NEAR 12.5N 66.7E, IS NOW LOCATED NEAR 12.6N 63.6E, APPROXIMATELY 500
NM SOUTHEAST OF MASIRAH ISLAND. ANIMATED ENHANCED INFRARED SATELLITE
IMAGERY DEPICTS DISORGANIZED FLARING CONVECTION AND MINIMAL UPPER
LEVEL TURNING. A 211642Z AMSU 89GHZ IMAGE SHOWS POORLY ORGANIZED
CONVECTION SHEARED TO THE WEST OF A WEAK CIRCULATION WITH A BROAD
AREA OF MOSTLY 15 KT WINDS DISPLACED FROM THE CENTER. ANALYSIS OF
THE CURRENT ENVIRONMENT REVEALS DIFFLUENT FLOW ALOFT WITH A POLEWARD
OUTFLOW CHANNEL, LOW TO MODERATE VERTICAL WIND SHEAR (15 TO 20
KNOTS), AND WARM (29-30 CELSIUS) SEA SURFACE TEMPERATURES WHICH ARE
CONDUCIVE FOR FURTHER DEVELOPMENT. GLOBAL MODELS ARE SLOW TO DEVELOP
THE BROAD SYSTEM WITH THE EARLIEST APPEARANCE OF 35 KNOT WINDS BY
TAU 72. MAXIMUM SUSTAINED SURFACE WINDS ARE ESTIMATED AT 20 TO 25
KNOTS. MINIMUM SEA LEVEL PRESSURE IS ESTIMATED TO BE NEAR 1004 MB.
THE POTENTIAL FOR THE DEVELOPMENT OF A SIGNIFICANT TROPICAL CYCLONE
WITHIN THE NEXT 24 HOURS REMAINS LOW.
M974World
WESTERN NORTH PACIFICLocation: 33.0°N 138.9°E
Maximum Winds: 45 kt ( 85km/h)
Gusts: 55 kt ( 100km/h)
Minimum Central Pressure: 994 mb
WDPN31 PGTW 220300
MSGID/GENADMIN/JOINT TYPHOON WRNCEN PEARL HARBOR HI//
SUBJ/PROGNOSTIC REASONING FOR TROPICAL STORM 21W (NEOGURI) WARNING
NR 023//
RMKS//
1. FOR METEOROLOGISTS.
2. 6 HOUR SUMMARY AND ANALYSIS.
TROPICAL STORM 21W (NEOGURI), LOCATED APPROXIMATELY 247
NM SOUTHWEST OF YOKOSUKA, JAPAN, HAS TRACKED EAST-NORTHEASTWARD
AT 12 KNOTS OVER THE PAST SIX HOURS. ANIMATED MULTISPECTRAL
SATELLITE IMAGERY (MSI) DEPICTS AN EXPOSED, ELONGATED LOW-LEVEL
CIRCULATION WITH DEEP CONVECTION SHEARED 180NM TO THE NORTHEAST.
THERE IS POOR CONFIDENCE IN THE CURRENT POSITION BASED ON THE
EXPOSED, RAGGED LLC IN MSI IMAGERY. A 212203Z SSMIS 91GHZ IMAGE ALSO
SHOWS DEEP CONVECTION SHEARED TO THE NORTHEAST AND INCREASINGLY
DISORGANIZED LOW LEVELS. THE SYSTEM IS EMBEDDED WITHIN A MIDLATITUDE
SHORTWAVE TROUGH AND ITS STRUCTURE HAS CONTINUED TO DEFORM UNDER A
HOSTILE ENVIRONMENT CHARACTERIZED BY STRONG (60 KNOTS) VERTICAL WIND
SHEAR. OBSERVATIONS FROM THE COAST OF JAPAN REPORT 30-40 KT
SUSTAINED WINDS OVER 70 NM FROM THE SYSTEM. THE CURRENT INTENSITY IS
ASSESSED AT 45 KNOTS BASED ON A 212147Z SATCON OF 43 KTS AND THE
OBSERVATIONS. THE SYSTEM IS ASSESSED AS EXTRATROPICAL BASED ON A
212100Z AMSU CORE TEMPERATURE CROSS SECTION SHOWING A LOW LEVEL WARM
FRONTAL ANOMALY AND A COLD CORE ALOFT, AS WELL AS THE ASYMMETRIC
WIND FIELD, DRY AIR FLOWING INTO THE DRY SLOT IN THE CIMSS
PRECIPITABLE WATER PRODUCT, SEA SURFACE TEMPERATURES BEING
UNFAVORABLE AT 24-26 DEGREES CELSIUS, AND CONVECTION SHEARED
POLEWARD OF THE LOW-LEVEL CIRCULATION, ALL CHARACTERISTIC OF
EXTRATROPICAL SYSTEMS. TS 21W IS ACCELERATING NORTHEASTWARD ALONG
THE NORTHERN FLANK OF THE SUBTROPICAL RIDGE WITHIN THE STRONG
MIDLATITUDE WESTERLY FLOW.
3. FORECAST REASONING.
A. THERE IS NO SIGNIFICANT CHANGE TO THE FORECAST PHILOSOPHY FROM
THE PREVIOUS PROGNOSTIC REASONING MESSAGE.
B. TS 21W IS FORECAST TO CONTINUE TRACKING NORTHEASTWARD THROUGH
THE FORECAST PERIOD AS AN EXTRATROPICAL SYSTEM. THE SYSTEM WILL
TRACK SOUTH OF TOKYO AND THEN EAST OF HONSHU MAINTAINING GALE-FORCE
WINDS. MODELS ARE HAVING DIFFICULTY RESOLVING THE EXACT POSITION IN
THE NEAR TERM, AS THE SYSTEM DEFORMS UNDER THE MID-LATITUDE WESTERLY
JET. THE JTWC FORECAST TRACK IS PLACED AHEAD OF THE MULTIMODEL
CONSENSUS, CLOSE TO THE GALWEM SOLUTION AND CARRYING FORWARD THE
CURRENT OBSERVED TRACK SPEED, AS CONSENSUS IS BEING DRAGGED SLOWER
BY GFS, WHICH PREDICTS A SIGNIFICANTLY SLOWER AND MORE SOUTHERN
TRACK. THERE IS LOW CONFIDENCE IN THE JTWC FORECAST TRACK.//
NNNN
------------------------------------------------------------------------------------------------------------------------
TY BUALOI(22W)
Location: 17.1°N 145.0°E
Maximum Winds: 115 kt ( 215km/h)
Gusts: 140 kt ( 260km/h)
Minimum Central Pressure: 951 mb
CATEGORY US: 4
WDPN32 PGTW 220300
MSGID/GENADMIN/JOINT TYPHOON WRNCEN PEARL HARBOR HI//
SUBJ/PROGNOSTIC REASONING FOR TYPHOON 22W (BUALOI) WARNING NR 013//
RMKS/
1. FOR METEOROLOGISTS.
2. 6 HOUR SUMMARY AND ANALYSIS.
TYPHOON (TY) 22W (BUALOI), LOCATED APPROXIMATELY 506 NM
SOUTH-SOUTHEAST OF IWO TO, JAPAN, HAS TRACKED NORTHWESTWARD AT 12
KNOTS (KTS) OVER THE PAST SIX HOURS. ANIMATED MULTISPECTRAL SATELLITE
IMAGERY (MSI) SHOWS A HIGHLY SYMMETRIC SYSTEM WITH A 10 NM EYE AND
CONVECTIVE BANDS WRAPPING INTO THE CENTER, LENDING HIGH CONFIDENCE IN
THE INITIAL POSITION. BASED ON DVORAK CURRENT INTENSITY ESTIMATES OF
T6.0 (115 KTS) FROM PGTW AND KNES, ESTIMATES OF T5.5 (102 KTS) FROM
RJTD, AND A SATCON INTENSITY ESTIMATE OF 120 KTS, THE INITIAL
INTENSITY IS SET AT 115 KTS WITH GOOD CONFIDENCE. TY 22W REMAINS IN
AN AREA OF LOW (05-10 KT) VERTICAL WIND SHEAR (VWS) AND WARM (28-29
CELSIUS) SEA SURFACE TEMPERATURES (SST). THERE IS NEAR-RADIAL
UPPER-LEVEL OUTFLOW; HOWEVER, A TUTT CELL TO THE SOUTHWEST MAY
INHIBIT STRONG DEVELOPMENT OF OUTFLOW TO THE SOUTH. TY 22W IS
TRACKING ALONG THE SOUTHWESTERN PERIPHERY OF A SUBTROPICAL RIDGE
(STR) TO THE NORTHEAST.
3. FORECAST REASONING.
A. THERE IS NO SIGNIFICANT CHANGE TO THE FORECAST PHILOSOPHY FROM
THE PREVIOUS PROGNOSTIC REASONING MESSAGE.
B. TY 22W WILL TRACK NORTHWESTWARD THEN NORTH-NORTHWESTWARD
THROUGH TAU 36. AROUND TAU 36, THE SYSTEM WILL BEGIN TO ROUND THE
RIDGE OF THE AFOREMENTIONED STR. THE ENVIRONMENT WILL REMAIN
FAVORABLE FOR INTENSIFICATION THROUGH TAU 48 WITH LOW VWS AND WARM
SST. HOWEVER, THE TUTT CELL TO THE SOUTHWEST IS EXPECTED TO PERSIST
UNTIL TAU 72, INHIBITING SUBSTANTIAL INTENSIFICATION AND OFFSETTING
POLEWARD OUTFLOW THAT WILL BE ENHANCED AS THE SYSTEM TAPS INTO THE
TROUGH. AFTER TAU 48, TY 22W WILL SHIFT TO A NORTH-NORTHEASTWARD
TRACK AS THE SYSTEM RECURVES. NUMERICAL MODELS REMAIN IN GOOD
AGREEMENT, LENDING GOOD CONFIDENCE IN THE JTWC FORECAST TRACK.
CROSS-TRACK SPREAD AT TAU 48 REMAINS 60 NM AND INCREASES TO 130 NM AT
TAU 72 AFTER THE RECURVE. THE ONE OUTLIER IS NAVGEM TO THE EAST. THE
SPEED OF THE SYSTEM IS SIMILAR IN ALL MODELS; HOWEVER, THERE ARE
SLIGHT VARIATIONS IN THE TIMING OF THE RECURVE.
C. AFTER TAU 72, TY 22W BEGINS EXTRATROPICAL TRANSITION (ETT) AND
TRACKS NORTH-NORTHEASTWARD FOR THE REMAINDER OF THE FORECAST PERIOD.
THE MIDLATITUDE TROUGH WILL BEGIN TO SHEAR THE SYSTEM WITH VWS VALUES
GREATER THAN 40 KTS, OFFSETTING THE ENHANCED POLEWARD OUTFLOW, THEN
GRADUALLY WEAKENING TY 22W. THIS SYSTEM WILL MAINTAIN A BROAD
EXPANSIVE WIND FIELD AS IT COMPLETES ETT. BY TAU 96, NUMERICAL MODELS
DIVERGE TO 295 NM CROSS-TRACK SPREAD WHEN ETT IS COMPLETED. DESPITE
THIS, THERE IS HIGH OVERALL CONFIDENCE IN THE JTWC FORECAST TRACK.//
NNNN
------------------------------------------------------------------------------------------------------------------------
NORTH INDIAN
Location: 13.3°N 62.8°E
Maximum Winds: 20 kt
Minimum Central Pressure: 1003 mb
ABIO10 PGTW 211800
MSGID/GENADMIN/JOINT TYPHOON WRNCEN PEARL HARBOR HI//
SUBJ/SIGNIFICANT TROPICAL WEATHER ADVISORY FOR THE INDIAN
/OCEAN/211800Z-221800ZOCT2019//
RMKS/
1. NORTH INDIAN OCEAN AREA (MALAY PENINSULA WEST TO COAST OF AFRICA):
A. TROPICAL CYCLONE SUMMARY: NONE.
B. TROPICAL DISTURBANCE SUMMARY:
(1) THE AREA OF CONVECTION (INVEST 97A) PREVIOUSLY LOCATED
NEAR 12.5N 66.7E, IS NOW LOCATED NEAR 12.6N 63.6E, APPROXIMATELY 500
NM SOUTHEAST OF MASIRAH ISLAND. ANIMATED ENHANCED INFRARED SATELLITE
IMAGERY DEPICTS DISORGANIZED FLARING CONVECTION AND MINIMAL UPPER
LEVEL TURNING. A 211642Z AMSU 89GHZ IMAGE SHOWS POORLY ORGANIZED
CONVECTION SHEARED TO THE WEST OF A WEAK CIRCULATION WITH A BROAD
AREA OF MOSTLY 15 KT WINDS DISPLACED FROM THE CENTER. ANALYSIS OF
THE CURRENT ENVIRONMENT REVEALS DIFFLUENT FLOW ALOFT WITH A POLEWARD
OUTFLOW CHANNEL, LOW TO MODERATE VERTICAL WIND SHEAR (15 TO 20
KNOTS), AND WARM (29-30 CELSIUS) SEA SURFACE TEMPERATURES WHICH ARE
CONDUCIVE FOR FURTHER DEVELOPMENT. GLOBAL MODELS ARE SLOW TO DEVELOP
THE BROAD SYSTEM WITH THE EARLIEST APPEARANCE OF 35 KNOT WINDS BY
TAU 72. MAXIMUM SUSTAINED SURFACE WINDS ARE ESTIMATED AT 20 TO 25
KNOTS. MINIMUM SEA LEVEL PRESSURE IS ESTIMATED TO BE NEAR 1004 MB.
THE POTENTIAL FOR THE DEVELOPMENT OF A SIGNIFICANT TROPICAL CYCLONE
WITHIN THE NEXT 24 HOURS REMAINS LOW.
22W: 22/0430UTC












