My Remarks: based on indications from microwave data an eye-wall replacement cycle is possible within the next hours= maybe 02W has peaked but we can not rule out some very short-term intensification. Confidence in the forecast track is high over 72H and low afterwards.
2019 FEB 23 1410UTC WESTERN NORTH PACIFIC
STY #WUTIP #02W
This system is currently analysed as a 135knots TC, CAT4 US.
MSGID/GENADMIN/JOINT TYPHOON WRNCEN PEARL HARBOR HI//
SUBJ/PROGNOSTIC REASONING FOR SUPER TYPHOON 02W (WUTIP) WARNING NR
18//
RMKS/
1. FOR METEOROLOGISTS.
2. 6 HOUR SUMMARY AND ANALYSIS.
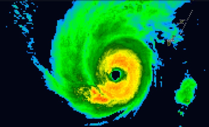
SUPER TYPHOON (STY) 02W (WUTIP), LOCATED APPROXIMATELY 160 NM
SOUTHWEST OF ANDERSEN AFB, GUAM, HAS TRACKED NORTHWESTWARD AT 07
KNOTS OVER THE PAST SIX HOURS. STY 02W HAS RAPIDLY INTENSIFIED (30
KNOTS) OVER THE PAST 24 HOURS FROM 105 KNOTS TO THE CURRENT
INTENSITY OF 135 KNOTS. ANIMATED ENHANCED INFRARED SATELLITE IMAGERY
DEPICTS A COMPACT EYEWALL, APPROXIMATELY 110NM DIAMETER, WITH A 15NM
ROUND EYE AND A BANDING FEATURE. A 231159Z MHS 89GHZ IMAGE INDICATES
THAT THE CORE CONVECTION IS SEPARATED FROM THE DEEP CONVECTIVE
BANDING BY A MOAT, WHICH SUGGESTS AN IMMINENT EYEWALL REPLACEMENT
CYCLE MAY OCCUR (AS INDICATED IN THE UW-CIMSS M-PERC PRODUCT).
ANIMATED RADAR IMAGERY SHOWS EXTENSIVE, HEAVY RAINFALL ASSOCIATED
WITH THE NORTHERN SPIRAL RAINBANDS ADVECTING OVER GUAM, AND A WELL-
DEFINED EYEWALL, WHICH SUPPORTS THE INITIAL POSITION WITH HIGH
CONFIDENCE. THE SPIRAL BANDS HAVE CONTINUED TO PRODUCE PERSISTENT
GALE-FORCE SURFACE WINDS OVER GUAM WITH GUSTS CLOSE TO 50 KNOTS.
THE CURRENT INTENSITY IS ASSESSED AT 135 KNOTS BASED ON AN AVERAGE
OF DVORAK INTENSITY ESTIMATES RANGING FROM T6.5 (127 KNOTS) TO T7.0
(140 KNOTS). UPPER-LEVEL CONDITIONS REMAIN FAVORABLE WITH LOW TO
MODERATE (15 TO 20 KNOTS) SOUTHEASTERLY VERTICAL WIND SHEAR (VWS)
OFFSET BY A ROBUST POLEWARD OUTFLOW CHANNEL AND GOOD EQUATORWARD
OUTFLOW. SST VALUES HAVE DECREASED TO 27C BUT REMAIN FAVORABLE. STY
02W IS TRACKING NORTHWESTWARD UNDER THE STEERING INFLUENCE OF A DEEP-
LAYERED SUBTROPICAL RIDGE (STR) POSITIONED TO THE NORTHEAST.
3. FORECAST REASONING.
A. THERE ARE SIGNIFICANT CHANGES TO THE JTWC INTENSITY FORECAST
DUE TO THE RAPID INTENSIFICATION PHASE. THERE IS NO CHANGE TO THE
FORECAST TRACK PHILOSOPHY SINCE THE PREVIOUS PROGNOSTIC REASONING
MESSAGE.
B. STY 02W SHOULD CONTINUE TO TRACK NORTHWESTWARD TO NORTHWARD
UNDER THE STEERING INFLUENCE OF THE AFOREMENTIONED STR TO THE
NORTHEAST THROUGH TAU 72. WITH THE EXCEPTION OF NAVGEM, NUMERICAL
MODEL GUIDANCE REMAINS IN TIGHT AGREEMENT THROUGH THIS PHASE OF THE
FORECAST WITH A 100NM SPREAD IN THE MODEL SOLUTIONS AT TAU 72. IN
GENERAL, THERE IS SOME UNCERTAINTY IN THE INTENSITY FORECAST,
HOWEVER, THE SYSTEM IS EXPECTED TO MAINTAIN AT STY STRENGTH THROUGH
TAU 24 DUE TO THE STRONG POLEWARD OUTFLOW. AFTER TAU 24, STY 02W
WILL WEAKEN STEADILY AS OUTFLOW WEAKENS.
C. AFTER TAU 72, INCREASING VWS (20 TO 40 KNOTS) AND CONVERGENCE
ASSOCIATED WITH A SHORTWAVE TROUGH WILL RAPIDLY WEAKEN THE SYSTEM.
THE WEAKENED SYSTEM WILL ACCELERATE WEST-NORTHWESTWARD UNDER THE
STEERING INFLUENCE OF A STRONG LOW-LEVEL RIDGE AND NORTHEASTERLY
SURGE FORECAST TO BUILD SOUTH AND SOUTHEAST OF JAPAN. DUE TO THE
COMPLEX AND RAPIDLY-EVOLVING SYNOPTIC PATTERN, THERE IS INCREASING
UNCERTAINTY IN THE EXACT TRACK WITH A 460NM SPREAD IN SOLUTIONS AT
TAU 120. THEREFORE, THERE IS LOW CONFIDENCE IN THIS PORTION OF THE
JTWC TRACK AND INTENSITY FORECAST.//
NNNN
2019 FEB 23 1410UTC WESTERN NORTH PACIFIC
STY #WUTIP #02W
This system is currently analysed as a 135knots TC, CAT4 US.
WARNING 18/JTWC
Click on the TC graphic to read the Remarks for Warning 18 and view sat pics and charts .
Satellite bulletins are to be found in the comments of this post on JTWC BIS.
As of 12:00 UTC Feb 23, 2019:
Location: 12.0°N 142.8°E
Maximum Winds: 135 kt (250km/h)
Gusts: 165 kt (305km/h)
Minimum Central Pressure: 922 mb
https://www.facebook.com/groups/1817419381676514/
Cheers,
Patrick Hoareau
WDPN31 PGTW 231500 Click on the TC graphic to read the Remarks for Warning 18 and view sat pics and charts .
Satellite bulletins are to be found in the comments of this post on JTWC BIS.
As of 12:00 UTC Feb 23, 2019:
Location: 12.0°N 142.8°E
Maximum Winds: 135 kt (250km/h)
Gusts: 165 kt (305km/h)
Minimum Central Pressure: 922 mb
https://www.facebook.com/groups/1817419381676514/
Cheers,
Patrick Hoareau
MSGID/GENADMIN/JOINT TYPHOON WRNCEN PEARL HARBOR HI//
SUBJ/PROGNOSTIC REASONING FOR SUPER TYPHOON 02W (WUTIP) WARNING NR
18//
RMKS/
1. FOR METEOROLOGISTS.
2. 6 HOUR SUMMARY AND ANALYSIS.
SUPER TYPHOON (STY) 02W (WUTIP), LOCATED APPROXIMATELY 160 NM
SOUTHWEST OF ANDERSEN AFB, GUAM, HAS TRACKED NORTHWESTWARD AT 07
KNOTS OVER THE PAST SIX HOURS. STY 02W HAS RAPIDLY INTENSIFIED (30
KNOTS) OVER THE PAST 24 HOURS FROM 105 KNOTS TO THE CURRENT
INTENSITY OF 135 KNOTS. ANIMATED ENHANCED INFRARED SATELLITE IMAGERY
DEPICTS A COMPACT EYEWALL, APPROXIMATELY 110NM DIAMETER, WITH A 15NM
ROUND EYE AND A BANDING FEATURE. A 231159Z MHS 89GHZ IMAGE INDICATES
THAT THE CORE CONVECTION IS SEPARATED FROM THE DEEP CONVECTIVE
BANDING BY A MOAT, WHICH SUGGESTS AN IMMINENT EYEWALL REPLACEMENT
CYCLE MAY OCCUR (AS INDICATED IN THE UW-CIMSS M-PERC PRODUCT).
ANIMATED RADAR IMAGERY SHOWS EXTENSIVE, HEAVY RAINFALL ASSOCIATED
WITH THE NORTHERN SPIRAL RAINBANDS ADVECTING OVER GUAM, AND A WELL-
DEFINED EYEWALL, WHICH SUPPORTS THE INITIAL POSITION WITH HIGH
CONFIDENCE. THE SPIRAL BANDS HAVE CONTINUED TO PRODUCE PERSISTENT
GALE-FORCE SURFACE WINDS OVER GUAM WITH GUSTS CLOSE TO 50 KNOTS.
THE CURRENT INTENSITY IS ASSESSED AT 135 KNOTS BASED ON AN AVERAGE
OF DVORAK INTENSITY ESTIMATES RANGING FROM T6.5 (127 KNOTS) TO T7.0
(140 KNOTS). UPPER-LEVEL CONDITIONS REMAIN FAVORABLE WITH LOW TO
MODERATE (15 TO 20 KNOTS) SOUTHEASTERLY VERTICAL WIND SHEAR (VWS)
OFFSET BY A ROBUST POLEWARD OUTFLOW CHANNEL AND GOOD EQUATORWARD
OUTFLOW. SST VALUES HAVE DECREASED TO 27C BUT REMAIN FAVORABLE. STY
02W IS TRACKING NORTHWESTWARD UNDER THE STEERING INFLUENCE OF A DEEP-
LAYERED SUBTROPICAL RIDGE (STR) POSITIONED TO THE NORTHEAST.
3. FORECAST REASONING.
A. THERE ARE SIGNIFICANT CHANGES TO THE JTWC INTENSITY FORECAST
DUE TO THE RAPID INTENSIFICATION PHASE. THERE IS NO CHANGE TO THE
FORECAST TRACK PHILOSOPHY SINCE THE PREVIOUS PROGNOSTIC REASONING
MESSAGE.
B. STY 02W SHOULD CONTINUE TO TRACK NORTHWESTWARD TO NORTHWARD
UNDER THE STEERING INFLUENCE OF THE AFOREMENTIONED STR TO THE
NORTHEAST THROUGH TAU 72. WITH THE EXCEPTION OF NAVGEM, NUMERICAL
MODEL GUIDANCE REMAINS IN TIGHT AGREEMENT THROUGH THIS PHASE OF THE
FORECAST WITH A 100NM SPREAD IN THE MODEL SOLUTIONS AT TAU 72. IN
GENERAL, THERE IS SOME UNCERTAINTY IN THE INTENSITY FORECAST,
HOWEVER, THE SYSTEM IS EXPECTED TO MAINTAIN AT STY STRENGTH THROUGH
TAU 24 DUE TO THE STRONG POLEWARD OUTFLOW. AFTER TAU 24, STY 02W
WILL WEAKEN STEADILY AS OUTFLOW WEAKENS.
C. AFTER TAU 72, INCREASING VWS (20 TO 40 KNOTS) AND CONVERGENCE
ASSOCIATED WITH A SHORTWAVE TROUGH WILL RAPIDLY WEAKEN THE SYSTEM.
THE WEAKENED SYSTEM WILL ACCELERATE WEST-NORTHWESTWARD UNDER THE
STEERING INFLUENCE OF A STRONG LOW-LEVEL RIDGE AND NORTHEASTERLY
SURGE FORECAST TO BUILD SOUTH AND SOUTHEAST OF JAPAN. DUE TO THE
COMPLEX AND RAPIDLY-EVOLVING SYNOPTIC PATTERN, THERE IS INCREASING
UNCERTAINTY IN THE EXACT TRACK WITH A 460NM SPREAD IN SOLUTIONS AT
TAU 120. THEREFORE, THERE IS LOW CONFIDENCE IN THIS PORTION OF THE
JTWC TRACK AND INTENSITY FORECAST.//
NNNN

















