High confidence in the forecast track over the next 72H. Models spread is 280KM at +72H. 
2019 FEB 23 0220UTC WESTERN NORTH PACIFIC
TY #WUTIP #02W
This system is currently analysed as a 105knots TC, CAT3 US.
    
RMKS/
1. FOR METEOROLOGISTS.
2. 6 HOUR SUMMARY AND ANALYSIS.
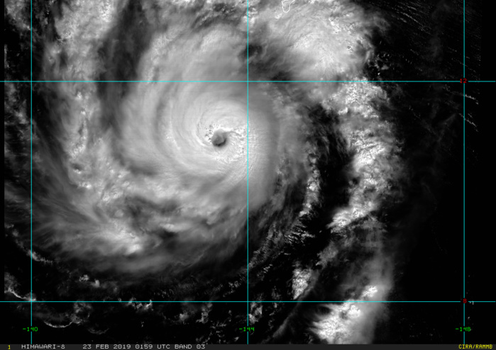
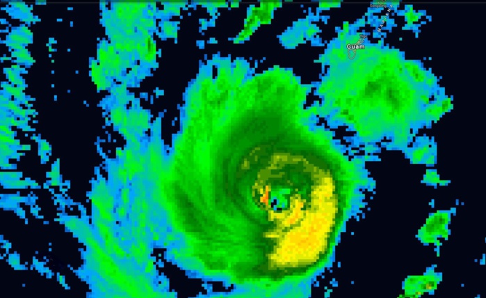
TYPHOON 02W (WUTIP), LOCATED APPROXIMATELY 135 NM NORTH-NORTHWEST
OF FARAULEP, HAS TRACKED NORTHWESTWARD AT 07 KNOTS OVER THE PAST
SIX HOURS. ANIMATED ENHANCED MULTISPECTRAL SATELLITE IMAGERY SHOWS A
WELL ORGANIZED, COMPACT SYSTEM WITH DEEP CONVECTION SURROUNDING A
SMALL INTERMITTENT EYE FEATURE. A 222344Z 89GHZ AMSU MICROWAVE IMAGE
SHOWS CONVECTIVE BANDING WRAPPING INTO A CENTRAL LOW REFLECTIVITY
AREA. THE INITIAL POSITION IS PLACED WITH HIGH CONFIDENCE BASED ON A
COMBINATION OF THE EYE FEATURE IN THE MULTI-SPECTRAL IMAGERY AND THE
MICROWAVE IMAGE. THE INITIAL INTENSITY HAS BEEN HELD AT 105 KNOTS
WITH HIGH CONFIDENCE BASED ON THE DVORAK CURRENT INTENSITY ESTIMATES
OF T5.5 (102 KNOTS) FROM BOTH KNES AND PGTW AND A SATELLITE
CONSENSUS ESTIMATE OF 107 KNOTS. ENVIRONMENTAL ANALYSIS SHOWS
FAVORABLE CONDITIONS WITH STRONG WESTWARD OUTFLOW, LOW TO MODERATE
(15-20 KNOTS) VWS AND WARM (29 CELSIUS) SEA SURFACE TEMPERATURES.
OVER THE PAST SIX HOURS, TY 02W HAS TRACKED NORTHWEST UNDER THE
STEERING INFLUENCE OF A SUBTROPICAL RIDGE (STR) POSITIONED TO THE
NORTHEAST.
3. FORECAST REASONING.
A. THERE IS NO CHANGE TO THE FORECAST PHILOSOPHY SINCE THE
PREVIOUS FORECAST.
B. THE SYSTEM IS FORECAST TO TRACK TO THE NORTHWEST INITIALLY
BEFORE SHIFTING MORE NORTHERLY AFTER TAU 12. AFTER TAU 48, A BREAK
IN THE RIDGE WILL ALLOW THE SYSTEM TO AGAIN TURN MORE NORTHERLY. AS
THE PRIMARY STEERING RIDGE ERODES AND MOVES EAST, TY 02W WILL ENTER
A COL REGION. ONCE UNDER THE INFLUENCE OF THE COL, THE SYSTEM WILL
SLOW SIGNIFICANTLY WHILE TRACKING TO THE NORTHWEST. TY 02W HAS
LIKELY PEAKED IN INTENSITY AT 105 KNOTS AND FROM THIS POINT ON IS
FORECAST TO SLOWLY WEAKEN AS THE ENVIRONMENT BECOMES INCREASINGLY
UNFAVORABLE. VERTICAL WIND SHEAR WILL BEGIN TO GRADUALLY INCREASE AS
SEA SURFACE TEMPERATURES DECREASE AND DRY AIR ENTRAINMENT IMPACTS
THE SYSTEM. THERE WILL BE A SHORT PERIOD OF STEADY INTENSITY BETWEEN
TAUS 48 AND 72, AS THE SYSTEM ROUNDS THE RIDGE AXIS AND TAPS INTO A
MORE ROBUST POLEWARD OUTFLOW CHANNEL. THE OUTFLOW CHANNEL WILL
TEMPORARILY OFFSET THE OTHERWISE UNFAVORABLE ENVIRONMENTAL
CONDITIONS. MODEL GUIDANCE IS IN GOOD AGREEMENT THROUGH TAU 36 WITH
A SPREAD OF 60NM. BEYOND TAU 36, UNCERTAINTY STEADILY INCREASES TO
AROUND 150 NM BY TAU 72. THE JTWC TRACK THROUGH TAU 72 LIES VERY
NEAR THE MULTI-MODEL CONSENSUS TRACK WITH HIGH CONFIDENCE.
C. BEYOND TAU 72, TY 02W IS FORECAST TO DRIFT SLOWLY NORTHWARD IN
THE AFOREMENTIONED WEAK STEERING ENVIRONMENT. DUE TO THE PRESENCE OF
THE COL, THE SYSTEM WILL NOT BE CAPTURED BY THE WESTERLY FLOW AND
THEREFORE WILL TRACK SLOWLY NORTH. ENVIRONMENTAL CONDITIONS FURTHER
DETERIORATE DURING THIS TIMEFRAME, WITH INCREASING VWS AND COOLER
SSTS COMBINING TO WEAKEN THE SYSTEM TO ONLY 40 KNOTS BY TAU 120.
AVAILABLE MODEL GUIDANCE AGREES WITH THIS GENERAL SCENARIO WITH THE
EXCEPTION OF NAVGEM WHICH IS STILL TRYING TO RECURVE THE SYSTEM TO
THE NORTHEAST BUT THIS SCENARIO IS NOT CURRENTLY FAVORED. THE ECMWF,
AFUM, AND GFS TRACKERS ARE INDICATING A SHARPER TURN WESTWARD AS THE
SYSTEM RAPIDLY DISSIPATES. THE JTWC FORECAST TRACK LIES JUST WEST OF
THE CONSENSUS WITH LOW CONFIDENCE BASED ON THE SPREAD AND VARYING
SOLUTIONS OF THE MODEL GUIDANCE.//
NNNN
			 2019 FEB 23 0220UTC WESTERN NORTH PACIFIC
TY #WUTIP #02W
This system is currently analysed as a 105knots TC, CAT3 US.
  WARNING 16/JTWC 
Click on the TC graphic to read the Remarks for Warning 16 and view sat pics and charts .
Satellite bulletins are to be found in the comments of this post on JTWC BIS.
As of 00:00 UTC Feb 23, 2019:
Location: 10.7°N 143.7°E
Maximum Winds: 105 kt (195km/h)
Gusts: 130 kt (240km/h)
Minimum Central Pressure: 953 mb
https://www.facebook.com/groups/1817419381676514/
Cheers,
Patrick Hoareau
WDPN31 PGTW 230300
MSGID/GENADMIN/JOINT TYPHOON WRNCEN PEARL HARBOR HI//
  
  SUBJ/PROGNOSTIC REASONING FOR TYPHOON 02W (WUTIP) WARNING NR 15// Click on the TC graphic to read the Remarks for Warning 16 and view sat pics and charts .
Satellite bulletins are to be found in the comments of this post on JTWC BIS.
As of 00:00 UTC Feb 23, 2019:
Location: 10.7°N 143.7°E
Maximum Winds: 105 kt (195km/h)
Gusts: 130 kt (240km/h)
Minimum Central Pressure: 953 mb
https://www.facebook.com/groups/1817419381676514/
Cheers,
Patrick Hoareau
WDPN31 PGTW 230300
MSGID/GENADMIN/JOINT TYPHOON WRNCEN PEARL HARBOR HI//
RMKS/
1. FOR METEOROLOGISTS.
2. 6 HOUR SUMMARY AND ANALYSIS.
TYPHOON 02W (WUTIP), LOCATED APPROXIMATELY 135 NM NORTH-NORTHWEST
OF FARAULEP, HAS TRACKED NORTHWESTWARD AT 07 KNOTS OVER THE PAST
SIX HOURS. ANIMATED ENHANCED MULTISPECTRAL SATELLITE IMAGERY SHOWS A
WELL ORGANIZED, COMPACT SYSTEM WITH DEEP CONVECTION SURROUNDING A
SMALL INTERMITTENT EYE FEATURE. A 222344Z 89GHZ AMSU MICROWAVE IMAGE
SHOWS CONVECTIVE BANDING WRAPPING INTO A CENTRAL LOW REFLECTIVITY
AREA. THE INITIAL POSITION IS PLACED WITH HIGH CONFIDENCE BASED ON A
COMBINATION OF THE EYE FEATURE IN THE MULTI-SPECTRAL IMAGERY AND THE
MICROWAVE IMAGE. THE INITIAL INTENSITY HAS BEEN HELD AT 105 KNOTS
WITH HIGH CONFIDENCE BASED ON THE DVORAK CURRENT INTENSITY ESTIMATES
OF T5.5 (102 KNOTS) FROM BOTH KNES AND PGTW AND A SATELLITE
CONSENSUS ESTIMATE OF 107 KNOTS. ENVIRONMENTAL ANALYSIS SHOWS
FAVORABLE CONDITIONS WITH STRONG WESTWARD OUTFLOW, LOW TO MODERATE
(15-20 KNOTS) VWS AND WARM (29 CELSIUS) SEA SURFACE TEMPERATURES.
OVER THE PAST SIX HOURS, TY 02W HAS TRACKED NORTHWEST UNDER THE
STEERING INFLUENCE OF A SUBTROPICAL RIDGE (STR) POSITIONED TO THE
NORTHEAST.
3. FORECAST REASONING.
A. THERE IS NO CHANGE TO THE FORECAST PHILOSOPHY SINCE THE
PREVIOUS FORECAST.
B. THE SYSTEM IS FORECAST TO TRACK TO THE NORTHWEST INITIALLY
BEFORE SHIFTING MORE NORTHERLY AFTER TAU 12. AFTER TAU 48, A BREAK
IN THE RIDGE WILL ALLOW THE SYSTEM TO AGAIN TURN MORE NORTHERLY. AS
THE PRIMARY STEERING RIDGE ERODES AND MOVES EAST, TY 02W WILL ENTER
A COL REGION. ONCE UNDER THE INFLUENCE OF THE COL, THE SYSTEM WILL
SLOW SIGNIFICANTLY WHILE TRACKING TO THE NORTHWEST. TY 02W HAS
LIKELY PEAKED IN INTENSITY AT 105 KNOTS AND FROM THIS POINT ON IS
FORECAST TO SLOWLY WEAKEN AS THE ENVIRONMENT BECOMES INCREASINGLY
UNFAVORABLE. VERTICAL WIND SHEAR WILL BEGIN TO GRADUALLY INCREASE AS
SEA SURFACE TEMPERATURES DECREASE AND DRY AIR ENTRAINMENT IMPACTS
THE SYSTEM. THERE WILL BE A SHORT PERIOD OF STEADY INTENSITY BETWEEN
TAUS 48 AND 72, AS THE SYSTEM ROUNDS THE RIDGE AXIS AND TAPS INTO A
MORE ROBUST POLEWARD OUTFLOW CHANNEL. THE OUTFLOW CHANNEL WILL
TEMPORARILY OFFSET THE OTHERWISE UNFAVORABLE ENVIRONMENTAL
CONDITIONS. MODEL GUIDANCE IS IN GOOD AGREEMENT THROUGH TAU 36 WITH
A SPREAD OF 60NM. BEYOND TAU 36, UNCERTAINTY STEADILY INCREASES TO
AROUND 150 NM BY TAU 72. THE JTWC TRACK THROUGH TAU 72 LIES VERY
NEAR THE MULTI-MODEL CONSENSUS TRACK WITH HIGH CONFIDENCE.
C. BEYOND TAU 72, TY 02W IS FORECAST TO DRIFT SLOWLY NORTHWARD IN
THE AFOREMENTIONED WEAK STEERING ENVIRONMENT. DUE TO THE PRESENCE OF
THE COL, THE SYSTEM WILL NOT BE CAPTURED BY THE WESTERLY FLOW AND
THEREFORE WILL TRACK SLOWLY NORTH. ENVIRONMENTAL CONDITIONS FURTHER
DETERIORATE DURING THIS TIMEFRAME, WITH INCREASING VWS AND COOLER
SSTS COMBINING TO WEAKEN THE SYSTEM TO ONLY 40 KNOTS BY TAU 120.
AVAILABLE MODEL GUIDANCE AGREES WITH THIS GENERAL SCENARIO WITH THE
EXCEPTION OF NAVGEM WHICH IS STILL TRYING TO RECURVE THE SYSTEM TO
THE NORTHEAST BUT THIS SCENARIO IS NOT CURRENTLY FAVORED. THE ECMWF,
AFUM, AND GFS TRACKERS ARE INDICATING A SHARPER TURN WESTWARD AS THE
SYSTEM RAPIDLY DISSIPATES. THE JTWC FORECAST TRACK LIES JUST WEST OF
THE CONSENSUS WITH LOW CONFIDENCE BASED ON THE SPREAD AND VARYING
SOLUTIONS OF THE MODEL GUIDANCE.//
NNNN














